初・再会♪
6月 30th, 2008 by belle
6月 30th, 2008 by belle
6月 29th, 2008 by belle
3月 11th, 2008 by belle
2月 25th, 2008 by belle
先週20日は子犬達生まれて初めての試練の日でした;
それは…狼爪&尻尾切り~~~(>_<)
プードルなので避けては通れない「儀式」です。
オールドやコーギー等もそうですが、生後一週間以内にしなければなりません=小さいうちのほうが痛みも少ないのです。
その部分の毛を刈ります 麻酔注射で痛みを和らげます

鋏でチョキッ; 血止めのレーザー処理

小さいけどきちんと縫合 お尻尾は手術用カバーをかけて
おシッポ切断している画像もあるのですが…
グロい?のであえてアップしませんでした~(+o+)
=撮影者はワタシではありません…
無事に断尾が済みやれやれ。。。○○○○円×5=(ToT)/~~~
おシッポ短くなったけどみんな元気によくお乳を飲んでよく寝て
毎日大きくなっています♪
2月 20th, 2008 by belle
2月 15th, 2008 by belle
ジャスミン今朝(15日)出産いたしました~~~♪
5頭とも無事元気に生まれました!
バレンタインデーの14日から体温が下がり出産秒読み状態に突入。
体の震えや息使いもそんなに荒くなかったので、おそらく明け方かなと思い、
少しでも睡眠を取ろうと1時半頃に消灯…
まだ寝付いていない私の耳に「キュキュン…」という音?が。
ジャスミンが苦しくてあえいでいる声かな…とベッドから立ち上がり
電気を点けたら~~~~
足元に置いてあるジャスミンのベッドの中に「小さい茶色の動くモノ」があぁ!
ひえぇぇぇ~~~~;生まれちゃってる( ̄□ ̄;)

1時半にはこうして寝ていました 2時AMにはこの中で生まれていました
慌てて階下リビングにセットしてある産箱に移動=ε=ε=ε
3ワンsはお邪魔なので二階へε=(ノ‥)ノ
そして第2子からはそこで出産しました。
陣痛で喘ぐジャスミン 小さいので臍の緒を結ぶのはむずかしい;

3・4・5と一時間間隔で生まれました=もう外は明るい
どの子も生まれたときからジタバタ元気~~~
徹夜のママはそのまま朝一で獣医さんへ
4男1女異常なし、ジャスミンも元気です\(*^▽^*)/

無事に生まれてよかった~~~
小さい体で5頭でしたがジャスミン頑張りました
お疲れさま、えらかったね!(*^-^)ノ”
2月 12th, 2008 by belle
ジャスミン臨月?になりました^^
といっても犬は交配後約63日で出産。
超音波検査して妊娠確定したのが45日あたりなので、あっという間に出産の時期です。
お腹がそんなに大きくなっていなかったので、
頭数少ないかも…と思っていたら…
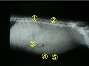
産前レントゲン検査でなんと5頭もできていてビックリ~~~!

丸いのが頭です ④と⑤は重なって写っています
背骨を見ると5頭いるのがわかります
①②以外は足からの出産になります=犬は半分くらいが逆子です

小さい体で5頭も赤ちゃん抱えていてもジャスミン元気
相変わらずピョンピョン、階段もダダダ~~~
跳ぶな~;上るなぁ~~~(@_@;)
食欲はめちゃくちゃ旺盛、一日中食事を待っています
今週中には出産かなと思っています
無事に元気な赤ちゃんが生まれますように☆彡
2月 8th, 2008 by belle
1月 31st, 2008 by belle
11月 29th, 2007 by belle
先週のShakePadオフ会の熱気の覚めやらぬなか…
25日はジャスミンの3歳のお誕生日でした。
一年前はジャスミンが妊娠中、それもお誕生日のお祝いをしたすぐ後に産気づき
夜中に出産をしたという思い出深い日です。
お母さんになったジャスミン無事に子育ても終了し
先週のオフ会も元気にベルたんと参加。
巣立ったジャスミンの子供達も26日1歳のお誕生日を迎えました。
日にちがほぼ同じなのでずっと親子のお祝いが一緒です♪
みんなおめでとう~☆彡
=オフ会疲れ;でアップが遅れました。。。